佛山胜凯科技服务有限公司
诚信为本,市场在变,诚信永远不变...
GB 17927—2024《家具阻燃性能安全技术规范》国家标准解读
分类: 专利版权 点击量:59 发布时间:2025-12-25

GB 17927—2024《家具阻燃性能安全技术规范》国家标准解读

      为有效抑制家具被意外火源引燃,遏制火灾蔓延,减少火灾造成的人员伤亡和财产损失,国家市场监督管理总局与国家标准化管理委员会于2024年8月23日正式批准发布了强制性国家标准GB 17927—2024《家具阻燃性能安全技术规范》。该标准于2025年9月1日起实施,并全面替代原有的两项旧标准

      

标准基本信息

标准全称与编号:GB 17927—2024《家具阻燃性能安全技术规范》

发布与实施日期:2024-08-23发布,2025-09-01实施

标准性质:强制性国家标准

替代关系:完全替代并整合了以下两项旧标准。GB 17927.1—2011《软体家具 床垫和沙发 抗引燃特性的评定 第1部分:阴燃的香烟》和 GB 17927.2—2011《软体家具 床垫和沙发 抗引燃特性的评定 第2部分:模拟火柴火焰》

此外,在技术上参考了国际标准、国外先进标准,增加了木垛点火源。

适用范围:适用于软体家具及家具软包件的质量控制。

核心内容与关键技术要求

新标准的核心是建立了 “三级阻燃等级、三类点火源试验、对应不同使用场所” 的科学评价体系。

1

三级阻燃等级与对应要求

标准根据使用场所的风险等级,将家具阻燃性能明确划分为三个等级,要求逐级加严:


图片


2

三类点火源试验方法(核心验证手段)

每个阻燃等级对应一种更严苛的模拟火源试验,具体参数要求如下:


香烟点火源(对应阻燃Ⅰ级):

香烟规格:长度 (55±5) mm,直径 (8±0.5) mm,单位长度的质量(0.6士0.1)g/50mm,燃烧时间 (12±3) min/50 mm。

试验判定:放置点燃香烟后60分钟内,观察是否引发阴燃或有焰燃烧。


图片


图片


图片


模拟火柴火焰点火源(对应阻燃Ⅱ级):

火源构成:采用纯度为99.9%的丁烷气,通过特定燃烧管提供相当于一根燃烧火柴发出的热量。气体流量为 (45±2) mL/min。

试验判定:燃烧管在试样上燃烧 (15±1) 秒后移开,观察移开后2分钟至15分钟内是否出现引燃。


图片


图片


图片


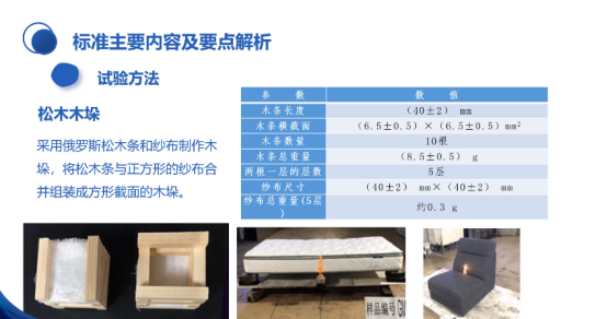
木块点火源(对应Ⅲ级):

木垛制作:采用10根俄罗斯松木条(单根尺寸:40mm×6.5mm×6.5mm)和5层纱布(40mm×40mm)组装而成。木条总重 (8.5±0.5) g。

试验方法:在木垛纱布上添加 (1.4±0.1) mL 乙醇并点燃。

试验判定:点火10分钟后至60分钟内,观察试样是否被引燃。


图片


图片



3

明确的“引燃”判定准则

标准以附录形式清晰规定了“阴燃引燃”和“有焰燃烧引燃”的判定条件,为试验结果提供了不可辩驳的客观依据。例如,若试样软包部分基本被烧尽、火焰前端蔓延超过100mm、或燃烧滴落物持续燃烧超过规定时间等,均直接判定为“引燃”。


图片


图片